Aduncothrips asiaticus (Ramakrishana and Margabandhu)

Nomenclature

Erythrothrips asiaticus Ramakrishna and Margabandhu, 1931: 1029.

Aduncothrips asiaticus (Ramakrishna and Margabandhu) Bhatti, 1990: 210.

Diagnosis

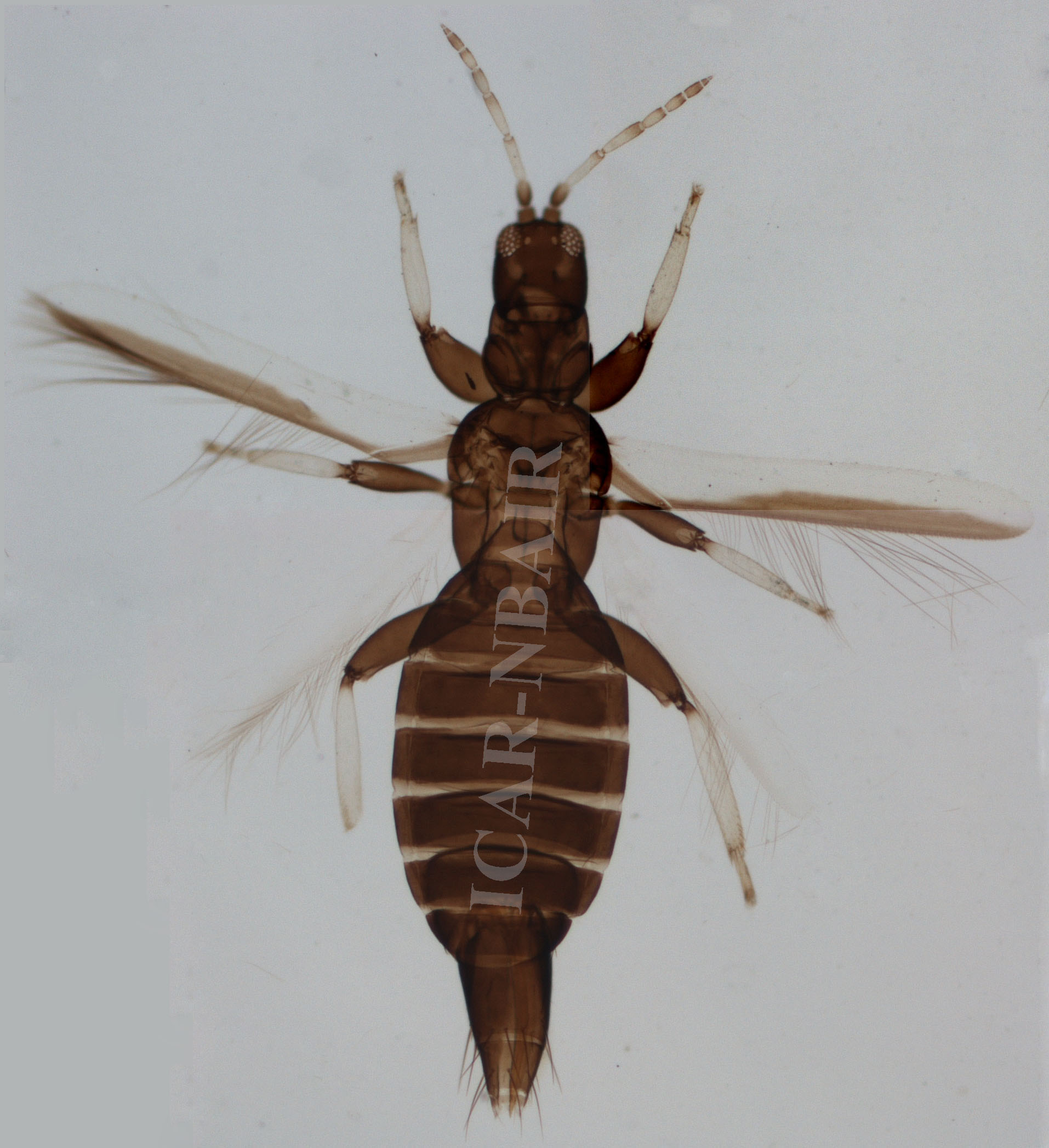
Female macroptera: Body uniformly brown; forewing pale with longitudinal dark band along posterior margin; clavus uniform brown; legs dark brown with yellow tibiae and tarsi. Head as long as wide, setae short, densely sculptured with closely placed striae on dorsal surface; postocular setae in 2 rows but irregularly arranged medially; maxillary palps 5-segmented. Antennal segments III and IV with sinuate sense cones, incompletely encircling the apex of each segment. Pronotum with  short setae, densely sculptured with transverse striae, numerous discal setae, 2–3 pairs of posteromarginal setae and the innermost one distinctly stouter than discal setae. Metanotum with lateral elongate, narrow and posteromedian short reticulations, anteromedian area with transverse sculpture lines, small wrinkles between sculpture lines; median setae near posterior margin; campaniform sensilla absent. Forewing costa without fringes or setae, veins and cross veins prominent. Abdominal tergite IX with a minor seta between S1 setae. Abdominal sternites with 2–6 discal setae laterally.

Male macroptera: Similar to female but smaller and paler. A dumb bell like structure is present at the junction of sternites I and II. Ventral simple elongate sense cones on V and VI.

Specimens collected on

Anacardium occidentale (Anacardiaceae), Grass (Poaceae), Moringa oleifera (Moringaceae) (Ramakrishna & Margabandhu, 1931; Varatharajan et al., 2018; Rachana et al., 2020)

Distribution

Karnataka, Manipur, Tamil Nadu (Ramakrishna & Margabandhu, 1931; Rachana et al., 2020; Varatharajan et al., 2018)

References

Bhatti, J. S., 1990, Catalogue of insects of the Order Terebrantia from the Indian Sub region. Zoology (J. Pure Appl. Zool.)., 2: 205–352.

Rachana, R.R., Rachana, B. & Shashikant, G.R., 2020, Redescription of Aduncothrips asiaticus (Ramakrishna and Margabandhu) (Thysanoptera: Aeolothripidae) with first description of the male, Oriental Insects, 54 (3), 398–401.

Ramakrishna, T.V. and Margabandhu, V., 1931, Notes on Indian Thysanoptera with brief descriptions of new species. J. Bombay Nat. Hist. Soc., 34: 1025–1040.

Varatharajan, R., Singh, K.N. and Rachana, R.R., 2018, On the collections of predatory thrips (Insecta: Thysanoptera) from NE India. Journal of Biological Control, pp.8–13.

 


Sl No. Index No.
Female
Male
Antenna
Head
Prothorax
Metathorax
Fore wing
Abdominal sternite (male)
Abdominal tergite VIII.