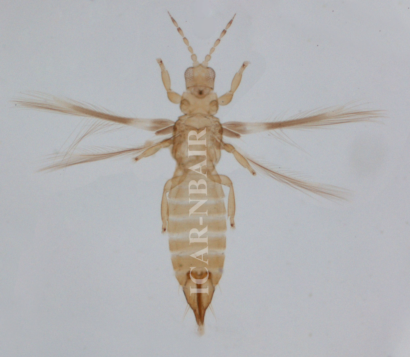
Chaetanaphothrips orchidii (Moulton)


Nomenclature

Euthrips orchidii Moulton, 1907: 52.

Euthrips marginemtorquens Karny, 1914: 362.

Diagnosis

Female macroptera: Body yellow, forewing pale with basal and median brown cross bands. Antennae 8 segmented,  III–IV with a slender and forked sensorium. Head with ocellar pair III within ocellar triangle. Pronotum with 2 posteroangular setae pairs; 2 posteromarginal setae pairs. Metanotum feebly reticulate, median setae small and positioned far behind anterior margin. Forewing first vein with 3 distal setae, second vein with 3–4 setae. Abdominal tergites feebly sculptured medially, posterior margins with craspedum; VIII with stippled area extending anteromesad from spiracle. Abdominal sternites with lobed craspedum, except medially on VII; median setae on VII arise ahead of posterior margin.

specimens collected on

Aerides odorata (Orchidaceae), Alternanthera sp. (Amaranthaceae) (Ananthakrishnan & Sen, 1980; Rachana et al. 2020)

Distribution

Karnataka, Kerala, Maharashtra, Tamil Nadu, West Bengal (Ananthakrishnan & Sen, 1980; Tyagi & Kumar, 2016; Rachana et al., 2020)

References

Ananthakrishnan, T. N. and Sen, S., 1980, Taxonomy of Indian thysanoptera. Zool. Surv. India. (Handb. Ser.)., 1:1–234.

Karny, H., 1914, Beiträge zur Kenntnis der Gallen von Java. Zweite Mitteilung über die javanischen Thysanopterocecidien und deren Bewohner. Zeitschrift für wissenschaftliche Insektenbiologie, 10: 355–369.

Moulton, D., 1907, A contribution to our knowledge of the Thysanoptera of California. Technical series, USDA Bureau of Entomol.., 12(3): 39–68

Rachana, R.R., Rayar, S.G., Giraddi, R.S., Kalappanavar, I.K. and Alagundagi, S.C., 2020, New records of terebrantian thrips from Karnataka, India. Journal of Entomology and Zoology Studies, 8(4):2189–2192.

Tyagi, K. and Kumar, V., 2016, Thrips (Insecta: Thysanoptera) of India – An updated checklist. Halteres., 7: 64–98.

Female
Antenna
Head
Prothorax
Pterothorax
Fore wing
Abdominal tergite VIII