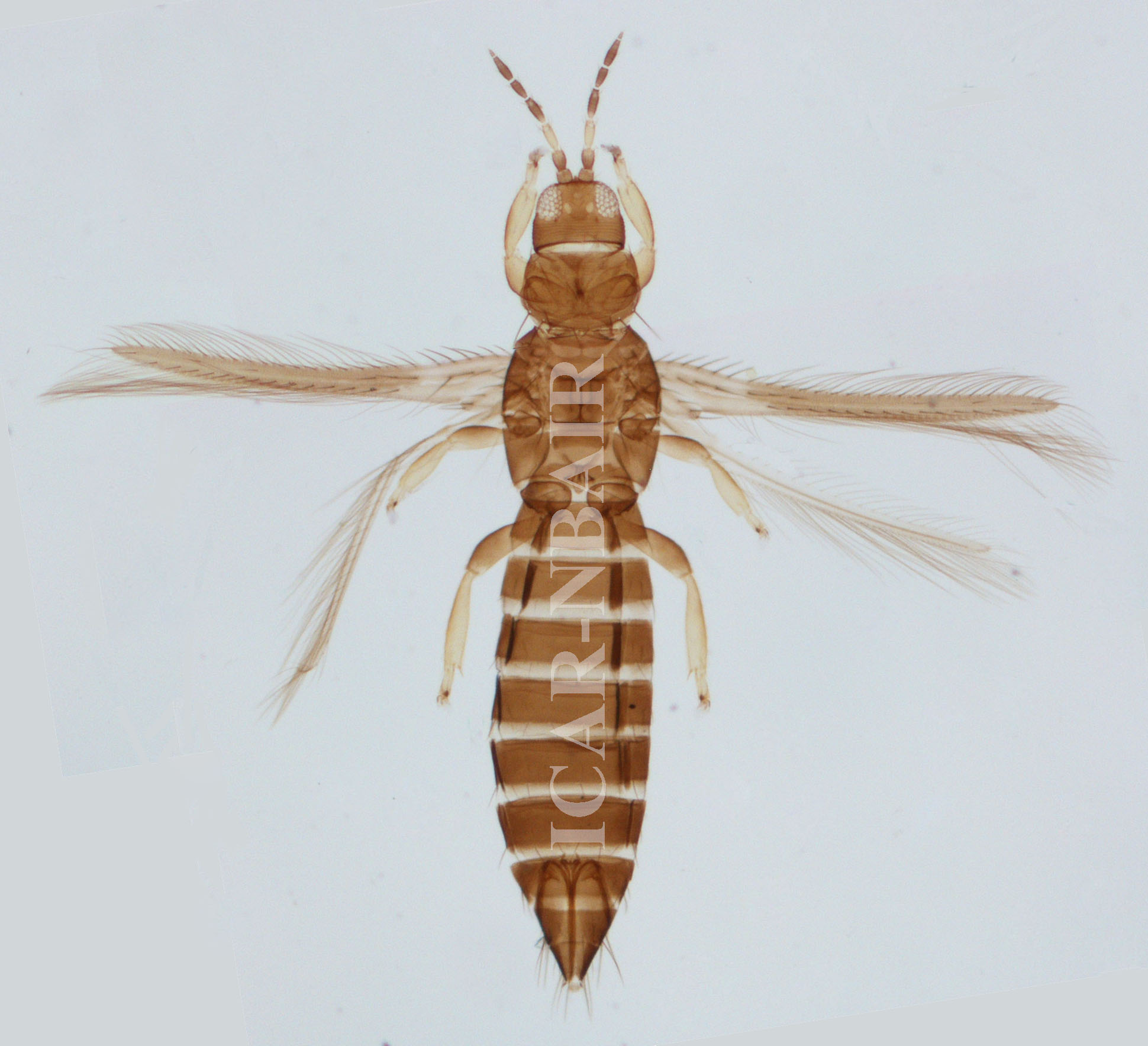
Thrips florum Schmutz


Nomenclature

Thrips florum Schmutz, 1913: 1003.

Thrips parva Schmutz, 1913: 1004.

Thrips magnipes Schmutz, 1913: 1006.

Thrips rhodamniae Schmutz, 1913: 1008.

Thrips pallida Schmutz, 1913: 1015.

Thrips peradenyae Schmutz, 1913: 1015.

Thrips darci Girault, 1930: 1.

Thrips exilicornis Hood, 1932: 129.

Thrips florum var. dunbariae Priesner, 1934: 261

Diagnosis

Female macroptera: Body brown; antennal segment III yellow; forewing brown with paler base. Antennae 7 segmented. Head with ocellar setae III outside ocellar triangle; postocular setae II very much smaller than I or III. Pronotum with transverse markings. Metanotum transversely striate on anterior half, with longitudinal more widely spaced striations on posterior half; median setae arise at anterior margin. Forewing first vein with 3 distal setae, clavus with subapical seta longer than apical seta. Abdominal tergite II with 4 lateral marginal setae; comb on VIII complete but short and irregular. Abdominal sternites III–VII with 6–14 discal setae.

Male macroptera: Smaller than female. Body yellowish brown. Abdominal tergite IX with 4 evenly spaced setae, median pair longer and stouter. Abdominal sternites III–VII with transverse pore glands.

specimens collected on

Polyphagous

Distribution

Widely distributed.

References

Girault, A. A., 1930, New pests from Australia, VIII. Published privately, Brisbane, 1–5.

Hood, J. D. 1932, New species of the genus Thrips from Central Africa and Egypt. Bulletin de la Societe Royale entomologique d'Egypte., 1932: 115–140.

Priesner, H., 1934, Indomalayische Thysanopteren VII [as VI]. Natuurkundig Tijdschrift voor Nederlandsch-Indie., 94: 254–290.

Schmutz, K., 1913, Zur Kenntnis der Thysanopterenfauna von Ceylon. Sitz.-Ber. K. Akad. Wiss., 122 (7): 991–1089.

Female
Male
Antenna
Head and prothorax
Pterothorax
Fore wing
Abdominal tergite VIII