Stenchaetothrips faurei (Bhatti)


Nomenclature

Chloethrips faurei Bhatti, 1962: 43

Diagnosis

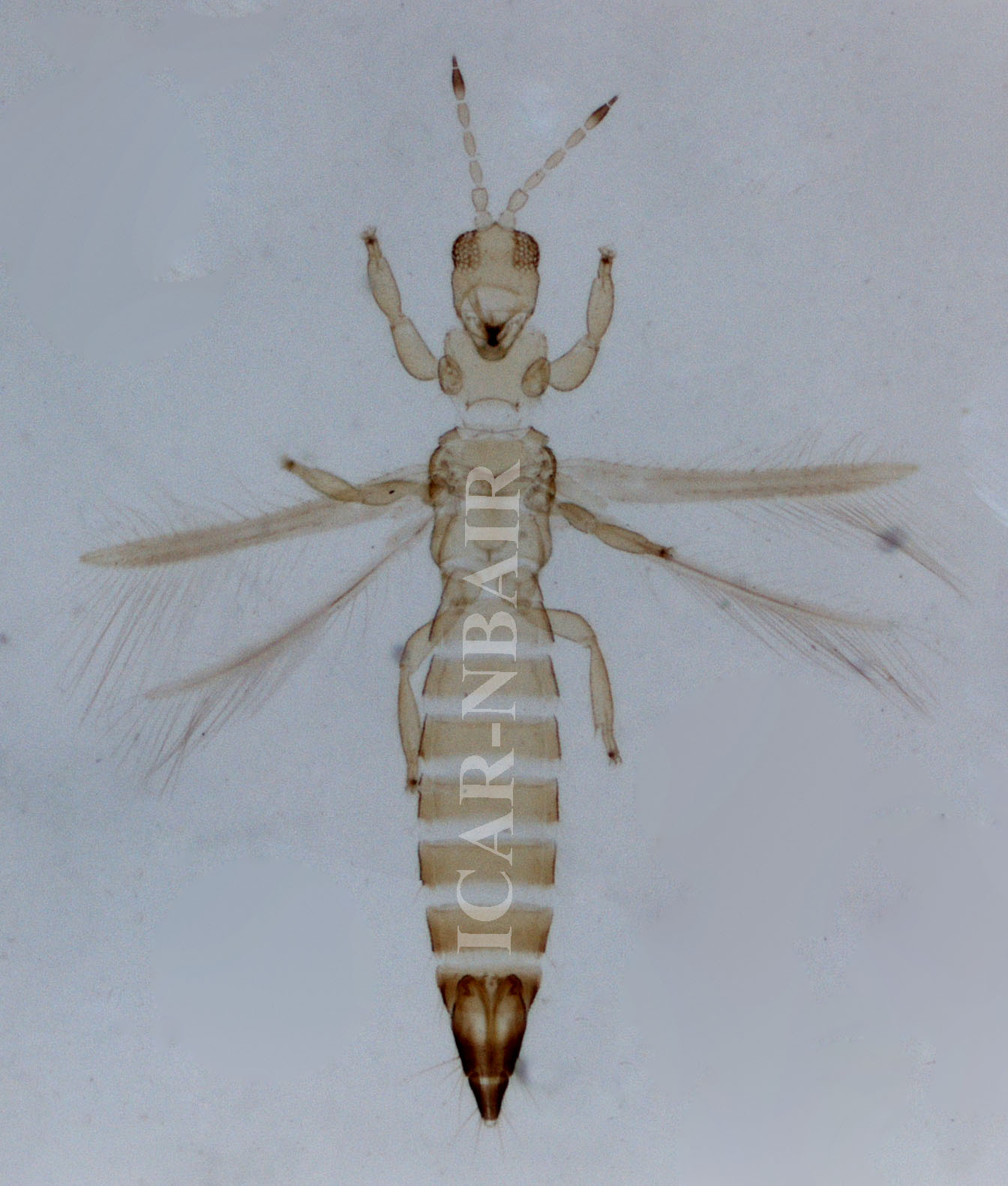
Female macroptera: Body bicoloured, yellow except abdominal segments IX and X; forewing pale. Antennae 7 segmented, III–IV each with a slender forked sense cone. Head with ocellar setae pair III outside the ocellar triangle; postocular setae 7 pairs in a row, pair II the longest. Pronotum having 3 pairs of posteromarginal setae. Metanotum with longitudinal striations, converging posteromedially; median setae arise at the anterior margin. Forewing first vein with 3 distal setae. Abdominal tergite VIII with complete posteromarginal comb. Abdominal sternites without discal setae; laterosternites with dentated posterior margins.

Male macroptera: Similar to female but smaller. Abdominal tergite VIII without posteromarginal comb; IX with 4 evenly spaced setae, median pair a little anterior to submedian pair. Abdominal sternites III–VII with transverse pore glands.

specimens collected on

Arundo donax (Poaceae) (Ananthakrishnan & Sen, 1980)

Distribution

Delhi, Haryana, Jammu & Kashmir, Karnataka, Kerala, Punjab, Uttar Pradesh (Bhatti, 1990; Rachana & Varatharajan, 2016) 

References

Ananthakrishnan, T. N. and Sen, S., 1980, Taxonomy of Indian thysanoptera. Zool. Surv. India. (Handb. Ser.)., 1:1–234.

Bhatti, J. S., 1990, Catalogue of insects of the Order Terebrantia from the Indian Subregion. Zoology (J. Pure Appl. Zool.)., 2: 205–352.

Bhatti, J.S., 1962, Additions to the graminivorous Thysanoptera of India. Bull. Entomol., 3: 42–47.

Rachana, R. R. and Varatharajan, R., 2016, Additions to the terebrantian (Insecta: Thysanoptera) fauna of Kerala, India. J. Appl. Natural Sci., 8 (3):1507–1509.

Female
Male
Antenna
Head
Prothorax
Metathorax
Fore wing
Abdominal tergite VIII
Pore plate