Scirtothrips dorsalis Hood


Nomenclature

Scirtothrips dorsalis Hood, 1919: 90.

Heliothrips minutissimus Bagnall, 1919: 260.

Anaphothrips andreae Karny, 1925: 24.

Neophysopus fragariae Girault, 1927: 1.

Scirtothrips dorsalis var. padmae Ramakrishna, 1942: 169

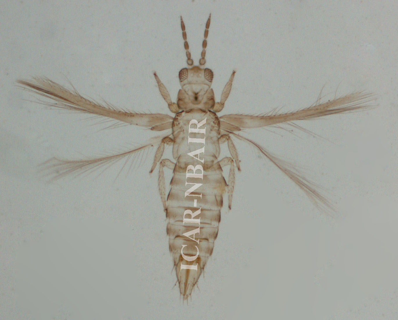
Diagnosis

Female macroptera: Body yellow with median brown marking on abdominal tergites III–VII, abdominal sternites without brown markings but with brown antecostal ridges on tergites and sternites; forewing shaded but with paler apex. Head with postocular and ocellar region closely striate; ocellar setae pair III arise between posterior ocelli, well behind tangent between their anterior margins; 2 pairs of post-ocellar setae as long as ocellar setae pair III. Pronotum striate closely, posteromarginal setae S2 longer than S1. Metanotal sculpture variable, generally transversely arcuate anteriorly, with irregular longitudinal reticulations or striations posteriorly; median pair of setae behind anterior margin. Forewing second vein with 2 setae; posteromarginal fringe cilia straight. Abdominal tergites III–V with bases of median setae closer together than length of these setae; tergal microtrichial fields with 3 discal setae; VIII with discal microtrichia present anteromedially, posteromarginal comb complete; IX with discal microtrichia present posteromedially. Abdominal sternites with microtrichia extending across median area on posterior half.

Male macroptera: Similar to female in colour and sculpture, but smaller in size.

specimens collected on

Polyphagous

Distribution

Andhra Pradesh, Arunachal Pradesh, Assam, Delhi, Gujarat, Himachal Pradesh, Jammu and Kashmir, Karnataka, Kerala, Madhya Pradesh, Maharashtra, Manipur, Meghalaya, Nagaland, Odisha, Punjab, Rajasthan, Tamil Nadu, Uttar Pradesh, West Bengal (Bhatti, 1990; Johnson & Varatharajan, 2018)

References

Bagnall, R. S., 1919, Brief descriptions of new Thysanoptera X. Ann. Mag. Nat. Hist., 4(9): 253–277.

Bhatti, J. S., 1990, Catalogue of insects of the Order Terebrantia from the Indian Subregion. Zoology (J. Pure Appl. Zool.)., 2: 205–352.

Girault, A. A., 1927, Some new wild animals from Queensland. Published privately. Brisbane, 1–3.

Hood, J. D., 1919, On some new Thysanoptera from southern India. Insecutor Inscitiae menstruus., 7: 90–103.

Johnson, T. and Varatharajan, R., 2018, Thrips (Insecta: Thysanoptera) fauna from the Dampa Tiger Reserve, Mizoram, India. Halteres., 9: 143–150.

Karny, H., 1925, Die an Tabak auf Java und Sumatra angetroffenen Blasenfüsser. Bulletin van het deli Proefstation te Medan., 23: 1–55.

Ramakrishna, T. V., 1942, Insects associated with the Lotus plant. Indian J. Entomol.,4: 167–170.

Female
Male
Antenna
Head
Prothorax
Metathorax
Fore wing
Abdominal tergite VIII